Jeden z našich najväčších motýľov dosahujúci rozpätia 55 až 80 mm. Patria medzi druhy s výrazným pohlavným dimorfizmom. Samičky sú väčšie, do 80 mm, s menej výrazným, šedohnedým sfarbením na jemne krémovom podklade a perovitými tykadlami. Samčeky sú menšie, výraznejšie sfarbené, zadné krídla s hrdzavožltým podkladom a hrebeňovitými tykadlami. 
Samčeky lietajú hlavne za dňa, samičky v noci. Rodí sa len jedna generácia ročne. V našich končinách kladú samičky vajíčka na halúzky krov, spodnú stranu listov. Najčastejšími živnými rastlinami sú slivka trnková,maliny a ostružiny.
Pred kuklením vytvárajú pevný vláknitý kokón v ktorom prezimujú medzi podrastom. Liahnutie generácie prebieha v marci - apríli. Imagá lietajú do mája - júna. Obývajú celú Európu až po stredné Švédsko a Fínsko. Na východ až po Sibír (lokálny výskyt).
Ako to celé prebiehalo? 
Tu prezentovaný okáň je fotený počas 10 mesiacov jeho vývoja. Začalo to tým, že som uvidel v kríku húsenicu. Preniesol som ju do terária a približne každý deň prikrmoval čerstvými konárikmi z toho kríka. Fľašu z plastu som asi do polovice naplnil vodou, uzavrel, položil na ležato a urobil pár otvorov, do ktorých som dával nové konáriky, aby dlhšie vydržali. 
Ako húsenica rástla, tak zvliekala starú kožu a ukazovala vždy novú, inak sfarbenú. Presne tak ako ukazujú dátumovo zoradené fotografie jednotlivých instarov. Súbežne s tý stále spotrebovávala viac a viac potravy.

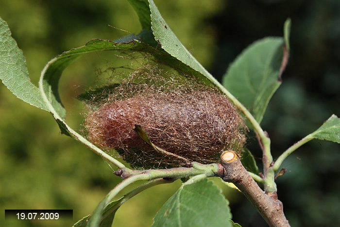
Keď prišiel čas, prestala jesť vytvorila zámotok - kokón a zakuklila sa. Zimu prečkala v prírode. Zámotok je vytvorený z tenučkých vláken, avšak pevných ako oceľ. Keď sa chce dostať von musí vylúčiť asi nejakú tekutinu, aby tie vlákna povolili. Neviem, pri tom sa mi nepodarilo asistovať. 
Raz na jar ma pri obhliadke čakal už vyliahnutý okáň čo si narovnával krídla a o chvíľu už aj odletel do voľnej prírody. 
RNDr. Kulfan Ján CSc. ktorého zaujal môj príspevok v NČ, mi oznámil dodatočne takúto maličkosť.
"V poslednych rokoch sa zistilo, že tento druh motýľa má dvojníka, teda, že aj u nás sa vyskytuje druh, ktorý je mu veľmi podobný a veľmi ťažko sa tieto dva druhy od seba odlišujú. Neviem vlastne, ktorý z týchto druhov bol na fotografiách; ten menej známy sa volá Saturnia ligurica (=pavoniella) a ten známejši Saturnia pavonia" 
... a bola to samička
Autor: Luděk “Sagi“ Lukáč
www.saguaro.estranky.cz
* Na základe výsledku diskusie upravený názov druhu.

by sa vedel nejlepšie vyjadriť Ľubo Víťaz, on sa tým dosť dlho zaoberal.
Z týchto fotiek to vyzerá na Saturnia povoniella: http://www.lepiforum.de/cgi-bin/lepiwiki.pl?Saturnia_Pavoniella
Oba druhy máme aj tu v atlase:
http://www.foto-net.sk/?idi=13489
http://www.foto-net.sk/?idi=13490
Henrik, keď mi Luděk poslal to vyjadrenie a všimol som si že Ľubo S.pavioniella zachytil v blízkej oblasti, očakával som diskusiu na túto tému.
Táto mapa rozšírenia asi už bude patriť do histórie http://en.wikipedia.org/wiki/Saturnia_pavoniella
Sagiho práca tak dostáva ďalší rozmer 👍
Ľubo teda nafotil pavoniellu v Novom Meste nad Váhom ... takže by sa posunula kúsok vyššie, a máme ju vo Štvrtku? 🙂
no a tá mapa z wikipedie ... 🙂
a keď sa to podľa p.Kulfana dosť ťažko rozpoznáva, ja neviem ... toto nechám na Vás, ja budem fotiť 🙂
Luboš sa určite k tejto téme vyjadrí. Tú mapku z Wikipédie by som bral s ooooobrovskou rezervou.
Tu nájdeš omnoho viac informácií:
http://www.schmetterling-raupe.de/pdf/pavoniella.pdf
Rozoznať čistú pavoniu a pavoniellu ako imágo nie je až taký veľký problém. Dobre sa líšia aj stavbou kopulačných orgánov. Žiaľ, je to dvojica druhov, kde sa to podľa takýchto fotografií bezpečne rozlíšiť nedá. Treba ich mať v ruke. Rozlíšenie komplikujú hybridné populácie, ktoré vznikajú v kontaktnej zóne areálov výskytu týchto druhov. S. pavoniella má húsenicu čiernu až do tretieho instaru, S. pavonia iba do druhého. Kokón S. pavoniella je dvojvrstvový, mäkký. S. pavonia jednovrstvový, tuhý. Záujemcom o detaily odporúčam dielo Motýli a housenky střední Evropy, Noční motýli I., J.Macek, J.Dvořák, L.Traxler, V.Červenka, Acadenia Praha, 2007. Tu je všetko popísané veľmi fundovane. Ja osobne zatiaľ S. pavonia zo Slovenska nepoznám. Čo som mal v rukách, všetko boli S. pavoniella. Tým však nechcem povedať, že sa u nás S. pavonia nevyskytuje. Chce to po nej pátrať v severnejšej oblasti a v horách Slovenska. Je to možné aj za pomoci samíc S. pavoniella. Oba druhy na feromóny druhého reagujú veľmi dobre a krížence sú plodné.
K mape vo wikipedii sa neviem vyjadriť. Jednak ju nepoznám a kto vie kde boli údaje, na základe ktorých vznikla, nabrané. Už mám čosi za sebou, zvykol som si. Aj v oveľa, oveľa oficialnejších mapách, ktoré sú záväznými dokumentami, bývajú riadne haluze. 😉
Pekný večer. Snáď som pomohol.
Ľuboš, neviem čo si predstavuješ pod pojmom, mäkká a tuhá, ale jednu ešte mám, čerstvé vlákna boli tuhé ako drôty, teraz už na kokóne nie sú, tá je vlastne zakuklená zhruba od 19.07.2009. Tak som ju pozrel, vlákna nemá už, na slabý stisk prstov poddáva, ale nožnicami je ťažko ju rozstrihnúť, je to tuhý materiál, jednovrstvový, to čo je vo vnútri vyzerá pekne, zdravo 🙂 ... takže možno na jar vyletí, ak sa mi to podarí, nafotím ho aj zospodu ... 🙂